Social Follow Popup
Bhadani Realtor - Rajasthan | REGISTRATION CERTIFICATE OF REAL ESTATE AGENT (Certificate No. RAJ/A/2025/16402)

Ansals Garden Enclave spans across 4.02 Acres, embracing a fully integrated intelligent green community, strategically positioned in the serene embrace of nature within Alwar, Rajasthan. This township is designed with features like RCC Pavered Roads, LED Street Light, Children Play Area Open Gym, adjoining fully functional Ansal Town, Alwar & other amenities.

Garden Enclave Alwar Brochure

Project at Glance
Location

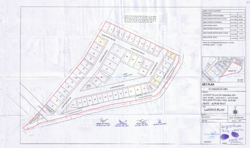
Approved Layout plan Garden Enclave Alwar

Project Layout

Garden Enclave Alwar sanction letter

Brochures

Registration Certificate Garden Enclave Alwar

Approved Layout
ByAUDA

Own Your Space – Book a Plot Now!

About Company

BHADANI REALTOR has built a legacy of trust, quality, and customer satisfaction. We put our clients first, and every decision we make is towards the welfare of our clients.

Get in touch

© 2025 Bhadani Realtor All Rights Reserved | Design by shivwebsindia.com